Skip To Content

4322 Berryessa Knoxville Road

Napa, CA 94558
  • $895,000
  • STATUS: Active
  • ON SITE: 199 Days
  • ID#: 325045205
$895,000
  • 0
    BEDS
  • 18.38
    ACRES
  • 0
    BATHS
  • 0
    1/2 BATHS
Neighborhood:
Type:
Commercial
County:
Area:

School Ratings & Info

Description

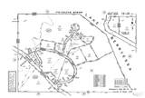
Discover a rare redevelopment opportunity in the heart of Lake Berryessa's scenic Spanish Flat community. Spanning approximately 18.38 acres across two adjacent parcels (4322 & 4370 Berryessa Knoxville Rd), this property offers flexible CN:AHCD zoning, allowing for both commercial and residential uses, including affordable housing. The conceptual vision includes revitalizing the existing commercial center with potential for multifamily units, an additional 44+/- housing units along the ridge, and optional ranchette-style homes all subject to final entitlements. With infrastructure access nearby and zoning designed to support smart growth, this property is ideal for a phased development, public-private partnership, or custom mixed-use plan. Mature trees, varied topography, and peaceful surroundings enhance the natural appeal, while its location near the lake makes it a prime investment for developers, planners, or investors seeking to make an impact. Conceptual plans are illustrative only,request full documentation and site maps today to explore this exciting opportunity.

Monthly Payment Calculator



Bay East ©2024. CCAR ©2024. bridgeMLS ©2024. Information Deemed Reliable But Not Guaranteed. This information is being provided by the Bay East MLS, or CCAR MLS, or bridgeMLS. The listings presented here may or may not be listed by the Broker/Agent operating this website. This information is intended for the personal use of consumers and may not be used for any purpose other than to identify prospective properties consumers may be interested in purchasing. Data last updated: 2025-12-15T23:56:02.083.
www.hiraethhomes.com/homes/164363853
Print Image

4322 Berryessa Knoxville Road Napa, CA 94558

  • Price: $895,000
  • Status: Active
  • On Site: 199 Days
  • ID#: 325045205
0
Beds
0
Baths
0
½ Baths
18.38
Acres
Neighborhood:
Berryessa
County:
Napa
Area:
Berryessa
Property Description
Discover a rare redevelopment opportunity in the heart of Lake Berryessa's scenic Spanish Flat community. Spanning approximately 18.38 acres across two adjacent parcels (4322 & 4370 Berryessa Knoxville Rd), this property offers flexible CN:AHCD zoning, allowing for both commercial and residential uses, including affordable housing. The conceptual vision includes revitalizing the existing commercial center with potential for multifamily units, an additional 44+/- housing units along the ridge, and optional ranchette-style homes all subject to final entitlements. With infrastructure access nearby and zoning designed to support smart growth, this property is ideal for a phased development, public-private partnership, or custom mixed-use plan. Mature trees, varied topography, and peaceful surroundings enhance the natural appeal, while its location near the lake makes it a prime investment for developers, planners, or investors seeking to make an impact. Conceptual plans are illustrative only,request full documentation and site maps today to explore this exciting opportunity.
Exterior Features

Parking Total 0 Road Frontage Type County Road

Interior Features

Floor 0

Property Features

Auction No Business Type Commercial Dock Doors 0 Industrial Sq Ft 0 Lease Deposit 0 Leased 0 Load Factor 0 Office Sq Ft 0 Percent Office 0 Property Sub Type Mixed Use Property Type Commercial Sale Retail Sq Ft 5520 Warehouse Sq Ft 0

Listing information © 2025 Bay Area Real Estate Information Services. Listing courtesy of Amber Payne of Corcoran Icon Properties: .


Bay East ©2024. CCAR ©2024. bridgeMLS ©2024. Information Deemed Reliable But Not Guaranteed. This information is being provided by the Bay East MLS, or CCAR MLS, or bridgeMLS. The listings presented here may or may not be listed by the Broker/Agent operating this website. This information is intended for the personal use of consumers and may not be used for any purpose other than to identify prospective properties consumers may be interested in purchasing. Data last updated: 2025-12-15T23:56:02.083.
 
https://bt-photos.global.ssl.fastly.net/bareis/1280_boomver_4_90992333-2.jpg https://bt-photos.global.ssl.fastly.net/bareis/1280_boomver_4_90992333-2.jpg https://bt-photos.global.ssl.fastly.net/bareis/1280_boomver_4_90992333-2.jpg
Logo
Hiraeth Homes
500 Bicentennial Way Ste. 310
Santa Rosa CA, 95403